• Đất nước vào xuân
  • Ký ức làm báo
  • Bên chén trà xuân
  • Sắc màu giải trí
  • Tết muôn nơi
  • Khát vọng Việt
  • Cẩm nang Tết
  • Tết Around Town
  • Chúc xuân
  • VOV.VN
  • Đất nước vào xuân
  • Ký ức làm báo
  • Bên chén trà xuân
  • Sắc màu giải trí
  • Tết muôn nơi
  • Khát vọng Việt
  • Cẩm nang Tết
  • Tết Around Town
  • Chúc xuân
  • VOV.VN
  1. Báo Xuân
  2. Tác giả

Từ khóa:Thời tiết ngày mai

Tìm thấy 731 kết quả

Miền Bắc chuẩn bị đón không khí lạnh gây ra mưa rào và dông

Miền Bắc chuẩn bị đón không khí lạnh gây ra mưa rào và dông

VOV.VN - Sáng sớm 16/4, bộ phận không khí lạnh này sẽ ảnh hưởng đến khu vực vùng núi Bắc Bộ khiến nền nhiệt độ giảm và xuất hiện mưa rào và dông, cục bộ có nơi xảy ra mưa to.
Mùa bão năm 2022 đến muộn, sẽ có khoảng 10 - 12 cơn bão, ATNĐ hoạt động tại Biển Đông

Mùa bão năm 2022 đến muộn, sẽ có khoảng 10 - 12 cơn bão, ATNĐ hoạt động tại Biển Đông

VOV.VN - Theo chuyên gia khí tượng, mùa bão năm 2022 khả năng xuất hiện muộn hơn trung bình nhiều năm, sẽ có khoảng 10 - 12 cơn bão, áp thấp nhiệt đới hoạt động trên Biển Đông.
Thời tiết ngày 8/3: Miền Bắc có mây, sáng và đêm trời rét

Thời tiết ngày 8/3: Miền Bắc có mây, sáng và đêm trời rét

VOV.VN - Ngày 8/3, thời tiết miền Bắc sẽ có mây, sáng sớm có nơi có sương mù và sương mù nhẹ, ngày nắng, sáng và đêm trời rét.
Miền Bắc chuẩn bị đón đợt rét hại tiệm cận với các đợt rét nhất trong lịch sử

Miền Bắc chuẩn bị đón đợt rét hại tiệm cận với các đợt rét nhất trong lịch sử

VOV.VN - Trong 10 ngày cuối tháng 2, miền Bắc sẽ đón đợt rét đậm rét hại trên diện rộng, có nơi rét tiệm cận với các trận rét nhất trong lịch sử.
Mưa rét ở miền Bắc bao giờ mới kết thúc?

Mưa rét ở miền Bắc bao giờ mới kết thúc?

VOV.VN - Theo chuyên gia khí tượng, sang ngày 10/2, thời tiết ở khu vực phía Bắc bắt đầu ấm dần lên, kết thúc đợt rét sụt sùi kéo dài.
Thời tiết ngày 17/1: Miền Bắc có nơi xuống dưới 5 độ C

Thời tiết ngày 17/1: Miền Bắc có nơi xuống dưới 5 độ C

VOV.VN - Do ảnh hưởng của gió mùa Đông Bắc và rét khiến nền nhiệt độ miền Bắc giảm thấp, có nơi nơi dưới 5 độ C.
Rét đậm, rét hại bao giờ kết thúc?

Rét đậm, rét hại bao giờ kết thúc?

VOV.VN - Theo chuyên gia khí tượng, đến ngày 13/1, thời tiết miền Bắc sẽ ấm dần lên, kết thúc đợt rét đậm kéo dài những ngày qua.
Chuyên gia dự báo thời tiết khô ráo dịp Tết Nguyên đán

Chuyên gia dự báo thời tiết khô ráo dịp Tết Nguyên đán

VOV.VN - Theo chuyên gia, trước Tết Nguyên đán, ở khu vực Bắc Bộ sẽ có những đợt gió mùa Đông Bắc lạnh, có mưa. Trong dịp Tết, thời tiết sẽ trở nên khô ráo, không mưa nhưng trời rét.
Miền Trung, gió mạnh dần lên, khẩn trương ứng phó mưa bão

Miền Trung, gió mạnh dần lên, khẩn trương ứng phó mưa bão

VOV.VN - Hiện gió tại các địa phương ở khu vực miền Trung đang mạnh dần lên, chính quyền và người dân khu vực này đang khẩn trương chuẩn bị ứng phó với tinh thần không chủ quan với bão.
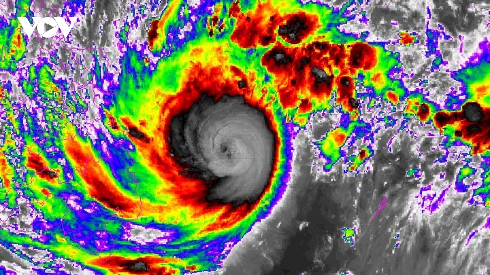
“Siêu bão Rai có cường độ rất mạnh, hiếm gặp trong nhiều năm trở lại đây”

“Siêu bão Rai có cường độ rất mạnh, hiếm gặp trong nhiều năm trở lại đây”

VOV.VN - Chuyên gia khí tượng nhận định, bão Rai là trường hợp hiếm gặp trong nhiều năm trở lại đây và có cường độ mạnh và phạm vi ảnh hưởng rộng, cần hết sức lưu ý.
  • Trước
  • 1
  • …
  • 64
  • 65
  • 66
  • …
  • 74
  • Sau
  • Đất nước vào xuân
  • Ký ức làm báo
  • Bên chén trà xuân
  • Sắc màu giải trí
  • Tết muôn nơi
  • Khát vọng Việt
  • Cẩm nang Tết
  • Tết Around Town
  • Chúc xuân

BÁO ĐIỆN TỬ VOV

Tổng Biên tập: NGÔ THIỆU PHONG

Phó Tổng Biên tập: Phạm Công Hân, Đặng Thị Khanh, Giang Trung Sơn, Nguyễn Tuyết Yến

Cơ quan chủ quản: ĐÀI TIẾNG NÓI VIỆT NAM

Trụ sở: 37 Bà Triệu, Cửa Nam, Hà Nội, Việt Nam

Điện thoại: 84-24-22105148, 84-24-39785691

Thư điện tử: baodientuvov@vov.vn