Các nước khẩn trương ứng phó siêu bão Ragasa: Lời cảnh báo của biến đổi khí hậu
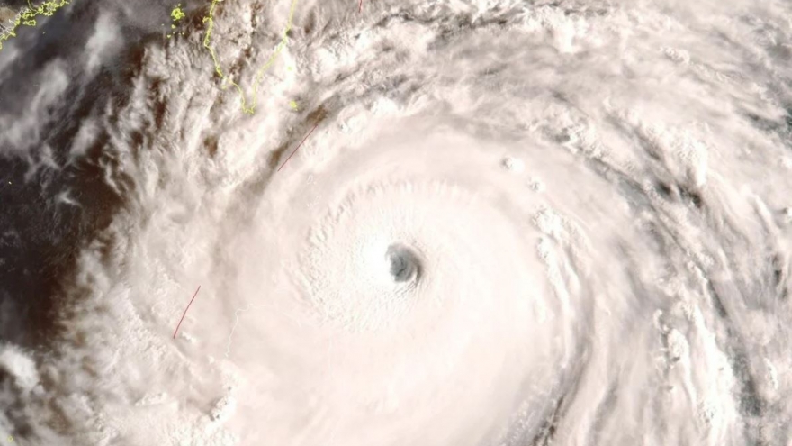
VOV.VN - Siêu bão Ragasa với sức gió giật tới 265 km/h - mạnh nhất thế giới từ đầu năm nay đang quét qua Philippines và đe dọa Đài Loan, Hong Kong (Trung Quốc), buộc nhiều địa phương phải đóng cửa trường học, hủy chuyến bay và sơ tán khẩn cấp.


.jpg)


_0.jpg)



