
Bão Melissa đổ bộ vào Cuba, trở thành siêu bão cấp 3
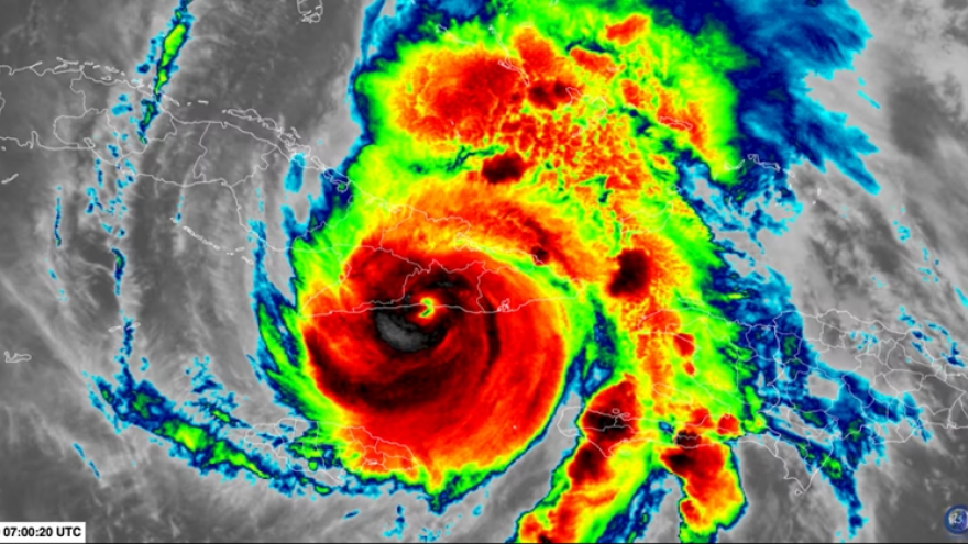
VOV.VN - Bão Melissa đã đổ bộ vào Cuba lúc 3h10 sáng 29/10 (theo giờ miền Đông Mỹ) gần khu vực Chivirico, thuộc tỉnh Santiago de Cuba, với sức gió duy trì tối đa 195km/h, trở thành một cơn bão cấp 3 “cực kỳ nguy hiểm”, theo Trung tâm Bão Quốc gia Mỹ (NHC).



.jpg)




