
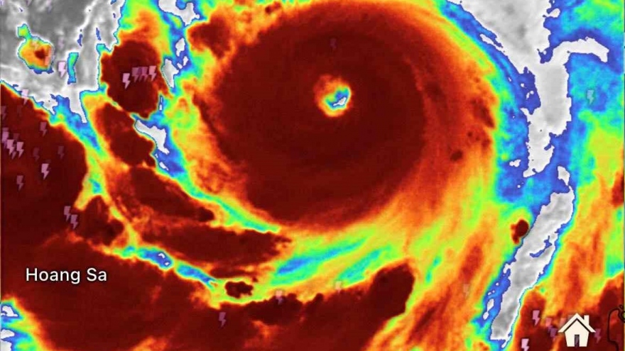
2-3 trận bão có thể đổ bộ đất liền sắp tới, miền Trung đối mặt mưa lũ cực đoan
Dự báo từ nay đến cuối năm, khả năng có 4-5 cơn bão, áp thấp nhiệt đới hoạt động trên Biển Đông, trong đó có 2-3 cơn đổ bộ vào đất liền. Các tỉnh miền Trung cần rà soát các phương án sẵn sàng ứng phó mưa lũ cực đoan trong tháng 10 và 11.









