
Bão số 10 giật cấp 15, biển động dữ dội, cảnh báo mưa lũ diện rộng
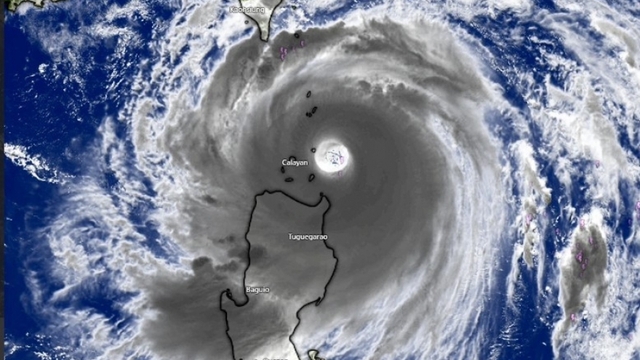
VOV.VN - Bão số 10 đang tiến rất nhanh vào đất liền với sức gió giật cấp 15, sóng biển cao tới 10 m, đe dọa gây mưa lớn, lũ quét, sạt lở đất và ngập lụt ven biển. Cơ quan khí tượng cảnh báo đây là cơn bão có phạm vi ảnh hưởng rộng, mức độ nguy hiểm cao, cần khẩn trương ứng phó để giảm thiểu thiệt hại.






.jpg)


