
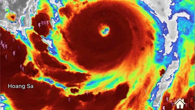
Bão số 6 áp sát miền Trung: Thông hầm Hải Vân, đường đèo vẫn còn tắc
VOV.VN - Lúc 10 giờ 30 hôm nay 27/10, hầm đường bộ qua đèo Hải Vân trên Quốc lộ 1A nối tỉnh Thừa Thiên Huế và thành phố Đà Nẵng đã thông tuyến trở lại sau hơn 3 tiếng đồng hồ phải đóng cửa hầm do sự cố lật xe trên đường dẫn phía Bắc vào hầm.








