VOV.VN - Thủ tướng Phạm Minh Chính yêu cầu các bộ, ngành liên quan, nhất là các tỉnh miền Trung tập trung ưu tiên cao nhất cho công tác ứng phó bão số 4.
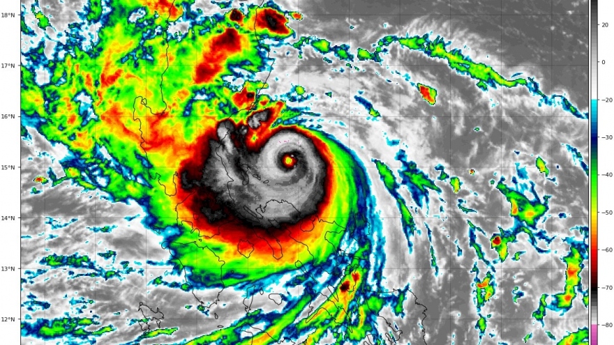
VOV.VN - Lúc 17h30 ngày 25/9, bão Noru bắt đầu đổ bộ vào khu vực Burdeos thuộc quần đảo Polillo, một phần của tỉnh Quezon, Philippines, khiến hơn 8.000 người dân phải sơ tán.
VOV.VN - Thủ tướng yêu cầu các bộ, ngành, địa phương phải thấy rõ trách nhiệm của mình bởi có nguồn lực mà không triển khai được thì nguyên nhân tại sao, vướng mắc ở đâu để quyết tâm, nỗ lực và có biện pháp mạnh mẽ hơn nữa...
VOV.VN - Cục Khí tượng và Thủy văn Lào cảnh báo người dân ở khu vực trũng thấp nâng cao cảnh giác, đề phòng lũ lụt xảy ra trước siêu bão Noru để đảm bảo tính mạng và tài sản.
VOV.VN - Để ứng phó với ảnh hưởng của bão số 4- Noru, UBND tỉnh Kon Tum đã có công điện yêu cầu chính quyền các địa phương, ngành chức năng và đơn vị vận hành hồ chứa thủy lợi, thủy điện tập trung ứng phó với bão.
VOV.VN - Theo thông báo của thị trưởng quần đảo Polillo, nước dâng do bão cao ở các khu vực ven biển trũng thấp và lộ thiên ở phía bắc Quezon, bao gồm cả đảo Polillo. Tác động tổng hợp của nước dâng do bão và sóng lớn đánh phá dọc bờ biển có thể gây ra ngập lụt hoặc ngập lụt đe dọa tính mạng.
VOV.VN - Theo Trung tâm Dự báo khí tượng thủy văn quốc gia, sáng sớm nay (26/9), bão Noru đã vượt qua khu vực phía Nam của đảo Lu-Dông (Philippines), đi vào Biển Đông, trở thành cơn bão số 4 năm 2022.
VOV.VN - Bão Noru được dự báo sẽ là một trong những cơn bão mạnh nhất trong vòng 20 năm trở lại đây. Với cường độ mạnh đến cấp 13 trên đất liền thì có thể làm sập, thổi bay nhà cấp 4...